Asset Publisher
Informacja o prowadzonych pracach gospodarczych w Leśnictwie Zawada
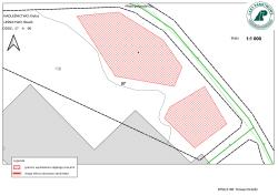
Nadleśnictwo Kielce informuje, że od dnia 01.04.2026 r. do odwołania, ze względu na prowadzone prace gospodarcze zamknięty będzie oddz. 105 a dla programu „Zanocuj w lesie”. Za utrudnienia przepraszamy.

Informacja o prowadzonych pracach gospodarczych w Leśnictwie Zawada
Nadleśnictwo Kielce informuje, że w związku z rozpoczęciem prac gospodarczych od dnia 11.02.2026 r. (do odwołania), w Leśnictwie Zawada w oddz. 90b i 109a, na czas trwania prac, powierzchnie te zostaną wyłączone z programu „Zanocuj w lesie”. Czasowo zamknięte będą drogi oraz szlaki turystyczne.
Dziękujemy za zrozumienie i prosimy o wzmożoną ostrożność podczas przebywania w okolicach wyznaczonych prac terenowych. Miejsca prowadzenia prac leśnych zostaną odpowiednio oznakowane za pomocą tablic informacyjnych.


INFORMACJA O PROWADZONYCH PRACACH GOSPODARCZYCH W LEŚNICTWIE DYMINY
Nadleśnictwo Kielce informuje, że od dnia 2.12.2025 r. w wydzieleniu 10A-m-00 Leśnictwa Dyminy, będą prowadzone prace gospodarcze, które potrwają do końca roku. Czasowo zamknięte będą drogi oraz szlaki turystyczne. Dziękujemy za zrozumienie i prosimy o wzmożoną ostrożność podczas przebywania w okolicach wyznaczonych prac terenowych. Miejsca prowadzenia prac leśnych zostaną odpowiednio oznakowane za pomocą tablic informacyjnych.

INFORMACJA O PROWADZONYCH PRACACH GOSPODARCZYCH W LEŚNICTWIE DYMINY
Nadleśnictwo Kielce informuje, że od dnia 18.11.2025 r. w wydzieleniu 10A-h-00 Leśnictwa Dyminy, będą prowadzone prace pielęgnacyjne. Czasowo zamknięte będą drogi oraz szlaki turystyczne. Dziękujemy za zrozumienie i prosimy o wzmożoną ostrożność podczas przebywania w okolicach wyznaczonych prac terenowych. Miejsca prowadzenia prac leśnych zostaną odpowiednio oznakowane za pomocą tablic informacyjnych.

INFORMACJA O PROWADZONYCH PRACACH GOSPODARCZYCH W LEŚNICTWIE DĄBROWA
Nadleśnictwo Kielce informuje, że w listopadzie br. zgodnie ze zleceniem z dnia 17.11.2025 będą prowadzone prace gospodarcze w oddz. 68-b-99. w Leśnictwie Dąbrowa na terenie lasów o wiodącej funkcji społecznej. Czasowo zamknięte będą drogi oraz szlaki turystyczne.
Dziękujemy za zrozumienie i prosimy o wzmożoną ostrożność podczas przebywania w okolicach wyznaczonych prac terenowych. Miejsca prowadzenia prac leśnych zostaną odpowiednio oznakowane za pomocą tablic informacyjnych.

INFORMACJA O PROWADZONYCH PRACACH GOSPODARCZYCH W LEŚNICTWIE GRUCHAWKA
Nadleśnictwo Kielce informuje, że w dniach 17 – 28 listopada 2025 r. w oddziałach 77, 78, 81 i 82 na terenie Leśnictwa Gruchawka będą trwały prace gospodarcze w zakresie cięć sanitarnych uszkodzonych i zamierających drzew.
Czasowo zamknięte będą drogi oraz szlaki turystyczne. Dziękujemy za zrozumienie i prosimy o wzmożoną ostrożność podczas przebywania w okolicach wyznaczonych prac terenowych. Miejsca prowadzenia prac leśnych zostaną odpowiednio oznakowane za pomocą tablic informacyjnych.
INFORMACJA O PROWADZONYCH PRACACH GOSPODARCZYCH W LEŚNICTWIE SŁOWIK
Nadleśnictwo Kielce informuje, że od dnia 13.11.2025 r. w oddziale 86j w Leśnictwie Słowik rozpoczną się prace z zakresu pozyskania i zrywki drewna.
Czasowo zamknięte będą drogi oraz szlaki turystyczne. Dziękujemy za zrozumienie i prosimy o wzmożoną ostrożność podczas przebywania w okolicach wyznaczonych prac terenowych. Miejsca prowadzenia prac leśnych zostaną odpowiednio oznakowane za pomocą tablic informacyjnych.
INFORMACJA O PROWADZONYCH PRACACH GOSPODARCZYCH W LEŚNICTWIE DYMINY
Nadleśnictwo Kielce informuje, że od dnia 07.11.2025 r. w wydzieleniu 10A-n-00 Leśnictwa Dyminy, będą prowadzone prace gospodarcze. Czasowo zamknięte będą drogi oraz szlaki turystyczne. Dziękujemy za zrozumienie i prosimy o wzmożoną ostrożność podczas przebywania w okolicach wyznaczonych prac terenowych. Miejsca prowadzenia prac leśnych zostaną odpowiednio oznakowane za pomocą tablic informacyjnych.

INFORMACJA O PROWADZONYCH PRACACH GOSPODARCZYCH W LEŚNICTWIE SŁOWIK
Nadleśnictwo Kielce informuje, że od dnia 07.11.2025 r. w oddziale 85i w Leśnictwie Słowik rozpoczną się prace z zakresu pozyskania i zrywki drewna.
Czasowo zamknięte będą drogi oraz szlaki turystyczne. Dziękujemy za zrozumienie i prosimy o wzmożoną ostrożność podczas przebywania w okolicach wyznaczonych prac terenowych. Miejsca prowadzenia prac leśnych zostaną odpowiednio oznakowane za pomocą tablic informacyjnych.

INFORMACJA O PROWADZONYCH PRACACH GOSPODARCZYCH W LEŚNICTWIE DYMINY
Nadleśnictwo Kielce informuje, że od dnia 6.10.2025 r. w wydzieleniu 34-c-00 Leśnictwa Dyminy, będą prowadzone prace gospodarcze. Czasowo zamknięte będą drogi oraz szlaki turystyczne. Dziękujemy za zrozumienie i prosimy o wzmożoną ostrożność podczas przebywania w okolicach wyznaczonych prac terenowych. Miejsca prowadzenia prac leśnych zostaną odpowiednio oznakowane za pomocą tablic informacyjnych.

INFORMACJA O PROWADZONYCH PRACACH GOSPODARCZYCH W LEŚNICTWIE SŁOWIK
Nadleśnictwo Kielce informuje, że w dniach 5 – 6.11.2025 r. w oddziałach 82 c i 86 a w Leśnictwie Słowik rozpoczną się prace z zakresu pozyskania i zrywki drewna.
Czasowo zamknięte będą drogi oraz szlaki turystyczne. Dziękujemy za zrozumienie i prosimy o wzmożoną ostrożność podczas przebywania w okolicach wyznaczonych prac terenowych. Miejsca prowadzenia prac leśnych zostaną odpowiednio oznakowane za pomocą tablic informacyjnych.


INFORMACJA O PROWADZONYCH PRACACH GOSPODARCZYCH W LEŚNICTWIE DĄBROWA
Nadleśnictwo Kielce informuje, że w listopadzie br. zgodnie ze zleceniem z dnia 27.10.2025 będą prowadzone prace gospodarcze w oddz. 69-b-99. w Leśnictwie Dąbrowa. Czasowo zamknięte będą drogi oraz szlaki turystyczne. Dziękujemy za zrozumienie i prosimy o wzmożoną ostrożność podczas przebywania w okolicach wyznaczonych prac terenowych. Miejsca prowadzenia prac leśnych zostaną odpowiednio oznakowane za pomocą tablic informacyjnych.

INFORMACJA O PROWADZONYCH PRACACH GOSPODARCZYCH W LEŚNICTWIE SŁOWIK
Nadleśnictwo Kielce informuje, że od dnia 22.10.2025 r. w oddziale 85 a, w Leśnictwie Słowik, będą prowadzone prace gospodarcze. Czasowo zamknięte będą drogi oraz szlaki turystyczne. Dziękujemy za zrozumienie i prosimy o wzmożoną ostrożność podczas przebywania w okolicach wyznaczonych prac terenowych. Miejsca prowadzenia prac leśnych zostaną odpowiednio oznakowane za pomocą tablic informacyjnych.

INFORMACJA O PROWADZONYCH PRACACH GOSPODARCZYCH W LEŚNICTWIE DĄBROWA
Nadleśnictwo Kielce informuje, że w dniu 13.10.2025 w oddziale 69-a-99 w Leśnictwie Dąbrowa rozpoczną się prace gospodarcze. Czasowo zamknięte będą drogi oraz szlaki turystyczne. Dziękujemy za zrozumienie i prosimy o wzmożoną ostrożność podczas przebywania w okolicach wyznaczonych prac terenowych. Miejsca prowadzenia prac leśnych zostaną odpowiednio oznakowane za pomocą tablic informacyjnych.
INFORMACJA O PROWADZONYCH PRACACH GOSPODARCZYCH W LEŚNICTWIE SŁOWIK
Nadleśnictwo Kielce informuje, że od dnia 13.10.2025 r. w oddziale 57 f, w Leśnictwie Słowik, będą prowadzone prace gospodarcze. Czasowo zamknięte będą drogi oraz szlaki turystyczne. Dziękujemy za zrozumienie i prosimy o wzmożoną ostrożność podczas przebywania w okolicach wyznaczonych prac terenowych. Miejsca prowadzenia prac leśnych zostaną odpowiednio oznakowane za pomocą tablic informacyjnych.

INFORMACJA O PROWADZONYCH PRACACH GOSPODARCZYCH W LEŚNICTWIE DYMINY
Nadleśnictwo Kielce informuje, że od dnia 6.10.2025 r. w wydzieleniu 31-h-99 Leśnictwa Dyminy, będą prowadzone prace gospodarcze. Czasowo zamknięte będą drogi oraz szlaki turystyczne. Dziękujemy za zrozumienie i prosimy o wzmożoną ostrożność podczas przebywania w okolicach wyznaczonych prac terenowych. Miejsca prowadzenia prac leśnych zostaną odpowiednio oznakowane za pomocą tablic informacyjnych.

INFORMACJA O PROWADZONYCH PRACACH GOSPODARCZYCH W LEŚNICTWIE DYMINY
Nadleśnictwo Kielce informuje, że od dnia 22.09.2025 r. w wydzieleniu 34-a-00 Leśnictwa Dyminy, będą prowadzone prace gospodarcze. Czasowo zamknięte będą drogi oraz szlaki turystyczne. Dziękujemy za zrozumienie i prosimy o wzmożoną ostrożność podczas przebywania w okolicach wyznaczonych prac terenowych. Miejsca prowadzenia prac leśnych zostaną odpowiednio oznakowane za pomocą tablic informacyjnych.

INFORMACJA O PROWADZONYCH PRACACH GOSPODARCZYCH W LEŚNICTWIE DYMINY
Nadleśnictwo Kielce informuje, że od dnia 8.09.2025 r. w oddziale 36-b Leśnictwa Dyminy, będą prowadzone prace gospodarcze. Czasowo zamknięte będą drogi oraz szlaki turystyczne. Dziękujemy za zrozumienie i prosimy o wzmożoną ostrożność podczas przebywania w okolicach wyznaczonych prac terenowych. Miejsca prowadzenia prac leśnych zostaną odpowiednio oznakowane za pomocą tablic informacyjnych

INFORMACJA O PROWADZONYCH PRACACH GOSPODARCZYCH W LEŚNICTWIE DYMINY
Nadleśnictwo Kielce informuje, że od dnia 1.09.2025 r. w wydzieleniu 17 f Leśnictwa Dyminy, będą prowadzone prace gospodarcze. Czasowo zamknięte będą drogi oraz szlaki turystyczne. Dziękujemy za zrozumienie i prosimy o wzmożoną ostrożność podczas przebywania w okolicach wyznaczonych prac terenowych. Miejsca prowadzenia prac leśnych zostaną odpowiednio oznakowane za pomocą tablic informacyjnych

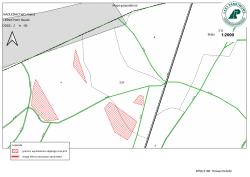
Informacja o prowadzonych pracach gospodarczych w Leśnictwie Zawada, oddział 67a oraz 112c
Nadleśnictwo Kielce informuje, że od dnia 30.06.2025r. do odwołania , ze względu na prowadzenie prac gospodarczych zamknięty będzie oddz. 67a oraz 112c dla programu „Zanocuj w lesie”. Czasowo zamknięte będą drogi oraz szlak turystyczny czerwony, przebiegający po granicy wydzielenia objętego pracami, na mapie zaznaczone kolorem czerwonym. Za utrudnienia przepraszamy.
Zamknięty fragment oznaczono na mapie kolorem czerwonym.
